أرض
JOD
قطعة ارض في بلعاس 800 متر بسعر مغري جدا
أرض للبيع حي السلام ناعور تقع على شارعين تصلح لبناء اسكان او فيلا
ارض للبيع ناعور وادي الكبرا تقريباً المنطقة خلف أسواق مؤتة وكازية السل...
ارض للبيع بمرج الحمام من المالك مباشره
ارض للبيع في منطقة مرج الحمام
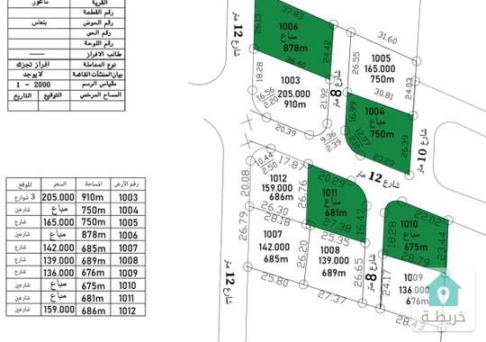
إعلان عقاري
للبيع أرض صناعات خفيفه على شارعين قريبه من مصنع مياه نيفي،، سعر المتر 18,75 دينار بإجمالى ...للمزيد
توهناجر تخزين
الاتصال الآن
للبيع ارض صناعات متوسطه قريبه من مصنع النسيج،، بواجهه مميزه بعرض ٩٥ متر تقريبا ،، سعر المت...للمزيد
للبيع ارض صناعات متوسطه / الموقر - النقيره
قطعة أرض سكني منطقة فلل حديثة مميزة في منطقة البويضة- ناعور للبيع من ...
قطعة أرض سكن ب بإطلالة غربية 5 كم عن كازية السلام ناعورأبو الغزلان من...
ارض للبيع ناعور حوض العمرية بواجهة طريق البحر الميت مساحة 4 دونم على ش...
ارض في مرج الحمام
ارض للبيع
اقساط
أراض للبيع ناعور بلعاس
ارض مميزة للبيع بأجمل مواقع النخيل منطقة سكنيه هادئة
ارض سكنية للبيع من المالك مباشرة ، ناعور ، ام القطين ، القهاقير - إسكا...
ارض للبيع في ناعور طريق السلام